2% 부족한
얼굴선을
완벽한 라인으로
want plastic surgery
얼굴보형물
얼굴보형물
원트 얼굴 보형물 성형

보형물 성형 어색하지 않을까요?
내게 꼭 맞는
맞춤 보형물 재작
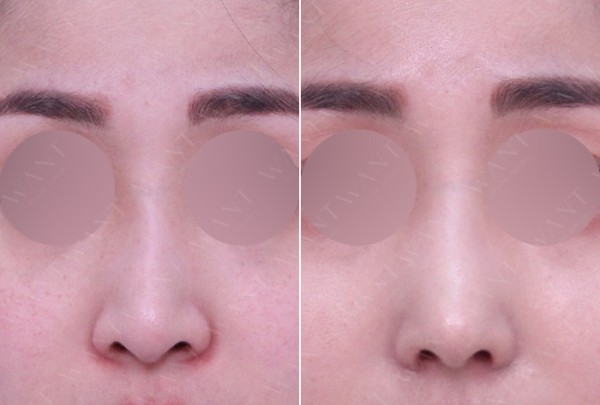
팔자, 턱끝 보형물로
자연스러운 라인교정
부족한 볼륨을 채워
입체적인 얼굴
원트는 부족한 볼륨에 꼭 맞는 맞춤 보형물을 제작.
입안 절개를 통해 팔자, 턱 끝의 자연스러운 볼륨을 채우고
이상적인 E라인을 완성합니다.
want plastic surgery


섬세하게 디자인된
맞춤 보형물의 정교함
전체적인 밸런스를
고려한 볼륨 디자인
정면, 측면, 45도
어디에서 보아도 예쁘게
숙련된 얼굴 라인 성형 전문
전담의가 상담, 수술, 케어까지
want plastic surgery
Check 01

입안 최소 절개로 수술 티가 나지 않고
맞춤 에프터 케어로 빠른 회복을 도와드립니다.
입체감을 살려 작은 얼굴 효과
돌출입 교정 효과
고급스러운 이미지 변화

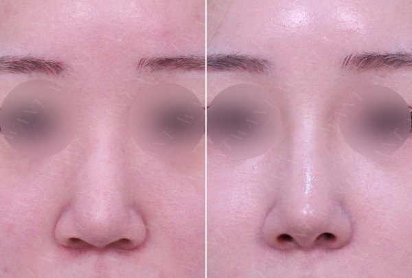
01
수술전 꺼진 팔자

02
입안 최소절개로 맞춤 보형물 삽입

03
자연스러운 볼륨 개선으로 동안 이미지 변화
Check 02
슬림한 V라인 효과를
반영구적으로 유지할 수 있습니다.
자연스러운 V라인
세련된 이미지 변화
반영구적인 무턱, 짧은턱 개선


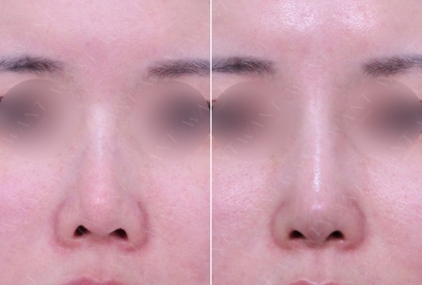
01
수술전 짧은 앞턱

02
입안 최소절개로 맞춤 보형물 삽입

03
자연스러운 볼륨 개선으로 V라인 완성
want plastic surgery

01
1인 집도의가 처음부터 끝까지
고도로 숙련된 담당 주치의는
상담부터 수술, 정기검진까지
대리 수술없이 책임관리합니다.

02
디테일한 디자인 플랜
한끝의 차이를 완성하기 위해
수술 직전까지 오직 당신을 위한
라인을 치열하게 고민합니다.

03
수술실 CCTV 운영
투명한 수술 과정, 결과에
자신 있기에 원한다면 언제나
수술실 CCTV를 공유합니다.

04
사후관리까지 철저하게
회복 속도에 맞는 애프터 케어는
수술의 완성도를 높이고
빠르게 일상 복귀를 돕습니다.
want plastic surgery
달라진 라인, 직접 확인하세요!
를 실현합니다.
닫기