전후사진

WANT Plastic Surgery

- 아래 사진은 시술 전, 후 동일인으로, 시술 당사자로부터 사전동의를 받고 업로드하는 사진입니다.
- 본 사진의 저작권은 원트성형외과에 있으며, 무단도용 시 법적책임을 피할 수 없습니다.

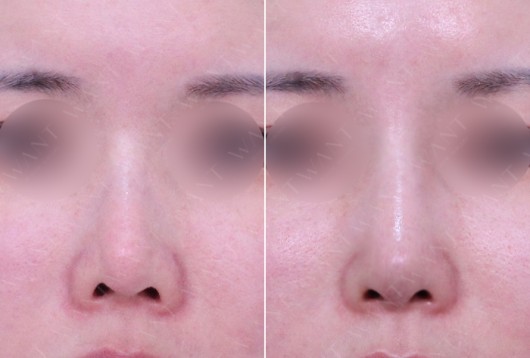
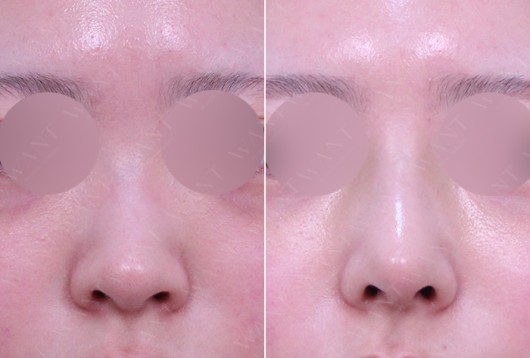
  • 남자 첫코성형 3개월차
     
  • 코재수술 3개월
     
  • 코재수술 3개월
     
  • 코재수술 4개월
     
  • 코재수술 3개월
     
  • 코재수술 21일차
     
  • 코재수술 2개월
     
  • 코재수술 1개월
     
  • 첫코성형 2주차
     
  • 첫코성형 2개월
     

Before

After

정면 45도 측면

CS CENTER

02. 534. 9123

WORK HOUR
월·화·수·목
AM 10:00 ~ PM 07:00
금요일
AM 10:00 ~ PM 08:00
토요일
AM 10:00 ~ PM 05:00

※ 점심시간 없이 진료
※ 일요일, 공휴일 휴진

강남역 10번 출구 도보 1분

서울특별시 서초구 강남대로 415, 5층(서초동, 대동빌딩)

APPOINTMENT

[보기]

강남역 10번 출구 도보 1분

서울특별시 서초구 강남대로 415, 5층(서초동, 대동빌딩)

비용 문의
보기

회원로그인